网站首页
拍卖公告(资料下载)
变更公示
成交公示
拍品分类
政策法规
公司简介
联系我们
公告中心
您所在的位置:首页 > 资料展示
容桂2025第八期资料(更新)
红旗桂福路153号.pdf
佛山市顺德区容桂街道小黄圃社区朝桂南路1号高骏科技创新中心4座1101号、1102号、1103号F03室.pdf
教师楼A座203.png
教师楼A座402.png
佛山市顺德区容桂街道文西街一座B302号.png
民乐北路52号.pdf
容桂大道北97号之一商铺12号.PDF
容桂街道容桂大道北97号之一商铺9号.pdf
容桂大道中88号之一.pdf
路心西街6号之二(测量图).pdf
容桂街道容桂大道北97号之一商铺10号.pdf
容桂街道容桂轻轨站以西之一地块_已签章.pdf
四基鱼苗场界线(1)-Model_00.png
体育路123号之10号铺(1).pdf
梯云路14号.png
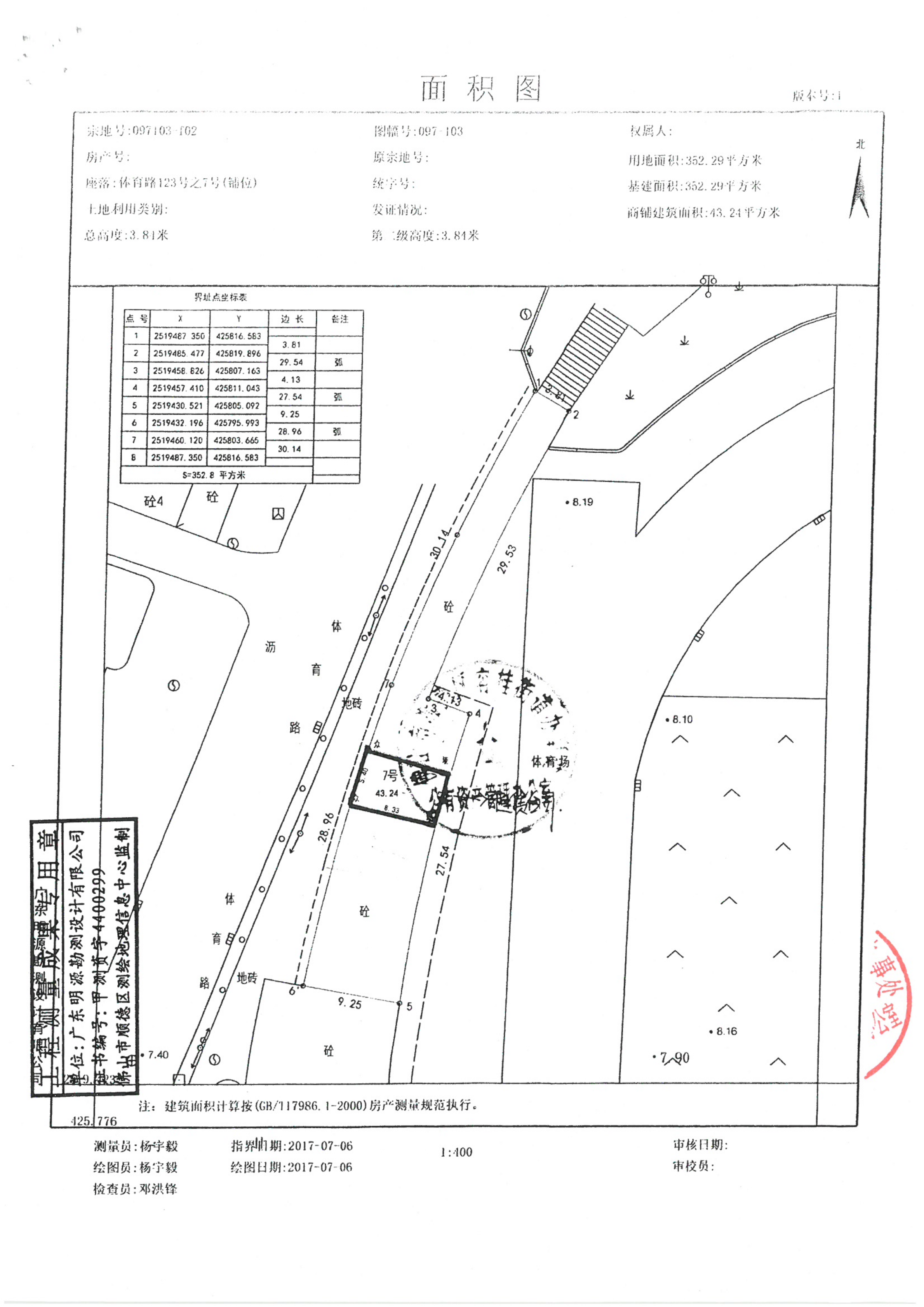
体育路123号之7.png
体育一路之4、6号.png
体育一路之8号.png
体育一路之10号铺.pdf
怡景村六座704.pdf
怡景村十三座501.PDF
怡景村十三座502.pdf
文西街一座B502平面图.png
怡景村十三座503.pdf
怡景村十三座504.pdf
鱼塘平面图-容桂街道陈占梅小学旁鱼塘之二地块.pdf
鱼塘平面图-容桂街道陈占梅小学旁鱼塘之三地块.pdf
鱼塘平面图-容桂街道陈占梅小学旁鱼塘之四地块.pdf
鱼塘平面图-容桂街道陈占梅小学旁鱼塘之一地块.pdf
文西街一座B501平面图.png